- 土地
上大岡東1丁目土地
上大岡駅徒歩9分・陽当たり良好の開放的な売地
2,280万円
- 土地
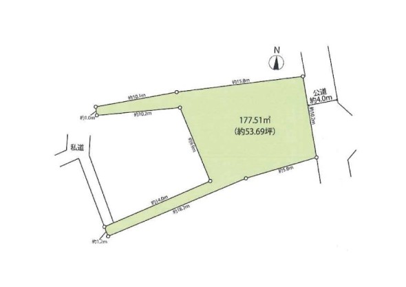
- 177.51m²
- 用途地域
- 第一種低層住居専用
- 場所
- 横浜市港南区上大岡東一丁目
- 最寄り駅
- ブルーライン 上大岡駅 徒歩9分
- 京急本線 上大岡駅 徒歩9分
この物件のお問い合わせは、以下のお好きな方法で行っていただけます!
〜〜 物件のPoint 〜〜
■京急本線・ブルーライン利用の上大岡駅が徒歩9分、通勤・通学に便利な好立地。
■陽当たり・通風・眺望に恵まれた開放感のある住環境。
■周辺は閑静な住宅街で、公園や緑も多く、落ち着いて暮らせる住みやすいエリア。
■大型商業施設や教育施設、スーパーなど日常利便施設が充実し、生活がスムーズ。
■建築条件なしのため、お好きなハウスメーカーや工務店で理想の住まいが実現可能。
ご興味ございましたら下記「資料請求・お問い合わせ」欄に必要事項記入の上、お問い合わせください。
- 物件番号
- 0000017561
- 地目
- 宅地
- 用途地域
- 第一種低層住居専用
- 都市計画
- 市街化区域
- 土地面積
計測方式 - 公簿
- 区画面積
- 177.51m²
- セットバック
- なし
- 建ぺい率 /
容積率 - 60% / 100%
- 接道状況
- 二方 (除角地)
- 東側 4m の公道に接道 [ 間口 4m ]
- 西側 1.2m の私道に接道
- 土地権利
- 所有権
- 国土法届出
- 不要
- 法令上の制限
- 崖下につき建築制限/崖上につき建築制限/宅地造成工事規制区域/高度地区/準防火地域/日影制限/敷地面積最低限度/高さ最高限度
- 引渡/入居時期
- 相談
- 小学校名
- 藤の木小学校 550m
- 中学校名
- 藤の木中学校 700m
- 設備など
- 建築条件 : なし
- 登録日
- 2025年12月12日
- 更新日
- 2025年12月12日
59,185 円/月
頭金 0円 / ボーナス 0円 / 35年返済 / 金利0.5%
※計算結果はあくまでも参考です。借入を保証するものではありません。
無料の会員登録で「不動産購入前に読むべきマニュアル」をプレゼント。また、選択いただいた条件に最適な新規物件情報をメールでご紹介。さらに非公開物件もご覧いただけます。
無料会員登録この物件のお問い合わせは、以下のお好きな方法で行っていただけます!










野庭町土地
芹が谷1丁目土地
日限山1丁目土地
日野南2丁目土地
下永谷2丁目土地
大久保2丁目土地
上永谷1丁目土地